Сорт грозде Чарли
Хибридната форма (и наскоро официално регистриран сорт) на гроздето Чарли е отгледана в близкото минало от руския национален селекционер Евгений Павловски от град Новошахтинск, Ростовска област. Сортът е известен и под другото си име - Антрацит, под което е вписан в държавния регистър на развъдните постижения.

Евгений Георгиевич Павловски се занимава с подбор на аматьорско ниво повече от две десетилетия, но професионалните учени могат да се гордеят с резултатите от него. И пътят към нов бизнес в живота на бившия миньор в никакъв случай не започна обещаващ. През 80-те години на миналия век, след като се сдоби с парцел и по този начин се присъедини към многомилионната армия от летни жители, той започна да отглежда грозде върху него, без дори да мисли за някаква хибридизация и отглеждане на нови форми. Всичко се промени десетилетие по-късно, когато той се срещна с известния животновъд от Новочеркаския научноизследователски институт по лозарство и винарство Иван Кострикин. Той успя да плени Павловски и няколко други лозари с перспективите за съвместна изследователска работа, след което под методологичното ръководство на Кострикин те започнаха да извършват първите кръстосвания на своите парцели. За работа като майчински форми бяха избрани сортове с функционално женски тип цвете, които бяха много удобни за начинаещите животновъди, тъй като позволено да се избегне самоопрашване на съцветия без излишни затруднения. Още първите резултати от новата дейност бяха толкова впечатляващи, че принудиха пионерите на народната селекция да свържат живота си с нея.
През годините Евгений Павловски извади десетки свои собствени сортове, сред които Чарли по отношение на съвкупността от характеристики заема много достойно място. Получава се чрез опрашване Викториясъдържащ в своята ДНК сложен коктейл от европейско, амурско и американско грозде, цветен прашец от висококачествен и широко разпространен сорт Надежда АЗОС... В тази двойка майчината форма се оказа отговорна за високата устойчивост на новия хибрид към болести и неблагоприятни фактори на околната среда, а бащините, макар и не напълно предадени гени с естетическа и гастрономическа ориентация. В резултат на това новостта се оказа, макар и не най-забележителната по отношение на вкусовите характеристики, но въпреки това доста годна за консумация и най-важното, много продуктивна и непретенциозна за отглеждане. Друг важен и положителен фактор е много ранното узряване на гроздовете, което прави възможно отглеждането му в региони с кратко и никак горещо лято.
Благодарение на тези свойства Чарли успя да премине държавния сортен тест, според резултатите от който през 2015 г. той беше официално включен в държавния регистър на развъдните постижения на Руската федерация и беше препоръчан за градинарско използване в цялата страна. Това беше поредното признание за достойнствата на неговия автор и надежден индикатор за отличните характеристики на сорта, който успя да се влюби в много лозари много преди да получи желаната държавна регистрация.

Агробиологични характеристики
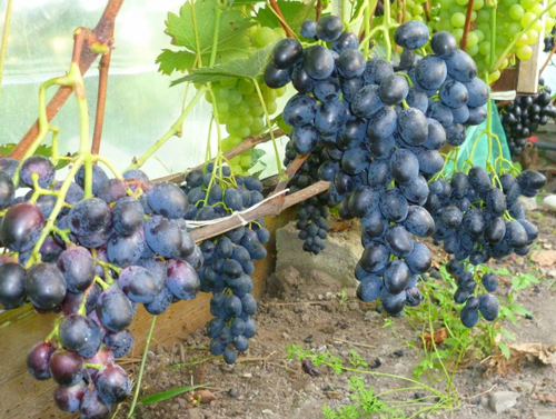
Гроздови храсти над средната сила. Богат зелен лист със светли жилки, доста голям, заоблен, обикновено има пет дяла, огъващи се към дъното, средно разчленени. Предната страна на листа е мрежесто-набръчкана, обратната страна е покрита със слабо паутинно опушване. Горните странични прорези със средна дълбочина, отворени с успоредни страни, подобни на процепа, или под формата на връщащ се ъгъл, долните прорези едва се очертават или липсват. Дръжката на дръжката е отворена лировидна или сводеста с плоско или леко заострено дъно.Дръжките са дълги и могат да бъдат напълно зелени на цвят или да имат забележим антоцианинов оттенък. Зъбчетата по краищата на листната пластина са с различни размери, триъгълни или с форма на трион с широка основа, леко изпъкнали ръбове и тъпи върхове. Цветята на Чарли са двуполови, много добре се опрашват със собствен прашец и могат да служат и като опрашители за форми с функционално женски тип цъфтеж. За сорта не се забелязва грах, проливане на цветя и прекомерна разхлабеност на гроздовете. Узряването на лозата настъпва на относително ранна дата и по цялата дължина на леторастите. Отлежалият годишен прираст придобива жълтеникаво-кафяв цвят.
Гроздовите гроздове са много големи, доста плътни, конични или цилиндрично-конични по форма, със средно тегло от 700-900 грама, но много значително надвишават тази цифра. Гребенът е дълъг, здрав, зелен на цвят, често с червеникави петна в основата. Плодовете са големи, овални или яйцевидни, тъмносини или черни, покрити с плътен слой сив восъчен цвят, теглото на 100 парчета е средно 600-700 грама. Гроздето е еднокалибрено, не се деформира и не се поврежда едно спрямо друго, поради което четките имат привлекателен външен вид. Месото на плодовете на Чарли е плътно, месесто, неутрално на вкус, хармонично, но понякога има нюанси в нюанса на послевкуса, което донякъде намалява вкуса, според някои експерти. Сокът е безцветен, добивът му е около 70% от теглото на гроздовете. Съдържанието на захар при достигане на подвижна зрялост е 16-17 g / 100 ml, а когато е напълно узряло, може да се повиши до 19-21%. Титруемата киселинност варира от 6-8 g / l. Кората на плодовете не е дебела, а по-скоро силна, тя се дъвче добре и не се усеща особено, когато се яде. Средно големи семена, 2-3 на грозде, също могат да се възприемат негативно от глезените дегустатори. В хода на сортовото тестване средният гастрономически резултат през годините е 8,4 точки.

Посоката на използване на културата може да се нарече универсална. Първо, гроздето се консумира успешно прясно. Големи, красиво оцветени гроздове се търсят сред купувачите на пазара. Само изтънчени гастрономи говорят за вкусовите характеристики, като прословутия вкус на „пасхар“, докато по-голямата част от обикновените хора не му обръщат никакво внимание. Ранният период на узряване и високите добиви правят нашия герой много печеливш сорт с високи маржове, което не може да не привлече вниманието на фермерите, които отглеждат грозде за продажба. Важен момент е високата транспортируемост на гроздовете, които могат лесно да издържат на транспорт на дълги разстояния. Когато се създадат оптимални условия, благодарение на здравата обвивка на плодовете, те също могат да се съхраняват дълго време в сглобена форма. В допълнение към трапезарията, този тип „слънчеви плодове“ демонстрира забележителни технологични свойства, като е отлична суровина за различни консерви. По-специално от узрелите гроздове с тъмен цвят се получават компоти, консерви и маринати, богати на цвят и вкус, в които гъстите плодове запазват добре формата си. И накрая, важен фактор е способността да се направи домашно сухо вино, достойно за качество от Чарли. За това гроздето се бере на много по-късна дата, отколкото за хранителни цели. За да се получи напитка с приемливо качество, която е стабилна при съхранение, съдържанието на захар в пивната мъст трябва да бъде най-малко 20-21%. И дори ако такова вино няма изключителни органолептични свойства, то не е предназначено да се конкурира с маркови напитки, направени от специални технически сортове грозде.
Вегетационният сезон на този сорт е 105-110 дни, считано от момента, в който пъпките цъфтят, до настъпването на зрялост на първите четки. Това ни позволява да говорим за Антрацит като за много ранно узряване с изчисленото ниво на необходимата сума на активните температури в диапазона 2200-2300 ° C.На юг прибирането на реколтата започва в началото на август, но докато културата се придвижва на север, тези дати се изместват към септември и дори по-късно. Като цяло, като се вземе предвид относително бързото достигане на зрялост на гроздовете и умерената нужда от топлина, сортът може успешно да расте и да дава плодове много по-на север от традиционните лозарски региони. Той успява да узрее дори в нечерноземните райони на централна Русия, чак до Московска област, въпреки че отглеждането му в тези региони е свързано с определени специфики. На първо място е необходимо да се вземе предвид устойчивостта на замръзване на надземната част на храстите, макар и увеличена в Чарли (-24 ° C), но в същото време явно недостатъчна за не покриващо отглеждане в северни условия.

Високите добиви на нашия герой се дължат, освен едроплодните, отлични показатели за плодородието на издънките и добрата жизненост на растенията, които могат да понесат значително натоварване. В същото време положителната страна на монетата има и отрицателна, която се състои в предразположение към претоварване поради големия брой четки, положени върху леторастите. Последното обстоятелство изисква от производителя стриктно да нормира натоварването върху храста, което в крайна сметка трябва да осигури получаването на 15-20 килограма грозде от едно растение. Редовното злоупотреба с щедростта на Чарли е изпълнено с намаляване на качеството на реколтата, значително удължаване на вегетационния период, недостатъчно узряване на лозата, което в крайна сметка може да доведе до най-тъжните последици, особено при тежки зими, за които храстите отслабват чрез прекомерно плододаване може просто да не е в състояние да се подготви.
След узряване, ако климатичните условия позволяват, гроздето може да продължи да виси на лозата без никакви проблеми, натрупвайки увеличени количества захар в плодовете. Той не се страхува особено нито от сиво гниене, нито от вероятност от напукване на грозде. Плодовете на нашия герой се пукат в малки количества само в най-неблагоприятните години с рязка промяна в почвената влага през периода на узряване или с продължително дъждовно време по това време. Има противоречива информация относно нападението на плодове от оси: някои производители твърдят, че упорити насекоми заобикалят сорта, а други, напротив, твърдят, че той често страда от този бич. Възможно е всичко да е в разнообразието на лозето от различни собственици, тъй като при наличието на сортове с по-деликатна кожа е малко вероятно осите да се опитат да гроздят по-малко годни за тях.
Агротехнически характеристики
В икономически план Чарли изглежда особено привлекателен. Може да се класифицира като един от малкото разновидности на любителската селекция, които са изключително непретенциозни. При засаждане той е напълно неизискващ към почвата и не може да расте нормално само във влажни влажни зони с ниска въздухопропускливост на почвата, на земи с високо ниво на разпространение на подпочвените води, по склоновете на северните изложения низини от долини и дерета, където се натрупва студен въздух ... В условията на северното лозарство по-успешни са насажденията в стенна култура от южната страна на къщи, стопански постройки или плътни живи плетове В този случай гроздето получава малко повече топлина, което в някои години може да бъде критично за узряването на лозата и реколтата.
Засаждането се извършва в ями, добре оплодени с органични вещества и минерални хранителни вещества. През първите сезони редовното и обилно поливане с достатъчно поливане на кореновия слой е важно за бързия растеж и развитие на Чарли. Поради липсата на информация за устойчивостта на сорта към кореновата филоксера, неговото размножаване в зоните на замърсяване на почвата от този вредител трябва да се извършва чрез присадени разсад върху устойчиви на филоксера подложки. Собствената вкоренена култура, поради добрата скорост на вкореняване на резници от антрацит, може успешно да се използва в райони, свободни от вредни коренови листни въшки. Площта за хранене за средно големи гроздови храсти трябва да бъде най-малко 4-4,5 квадратни метра. метри.
Младите растения през първите зими са навсякъде покрити през зимата, за да се гарантира защитата на малкото очи върху тях от увреждане от замръзване. Въпреки това, вече от втория вегетационен период, е необходимо да се вземе основно решение по коя схема - покриващи или непокриващи, ще се образуват възрастни храсти. Устойчивостта на замръзване на Чарли е напълно достатъчна за провеждане на високостеблена култура в южните райони с меките им зими, но в по-северните ширини, където температурите в студения сезон от -24 ° C не са необичайни, сортът ще изисква задължителното премахване на лозя от решетката през есента и затоплянето им за зимата. ... В зависимост от опасността от замръзване на климата, методът на този подслон също ще се различава. В най-простата версия ще бъде достатъчно да се погребе надземната част на храста в земята, където лесно ще понесе относително малко превишаване на критичната температура. Но там, където зимният студ достига много сурови стойности, ще се изисква изолация със специални материали - слама, торф, дървесни стърготини, смърчови клони или тръстика със задължителна защита срещу проникването на влага от стопилка с помощта на дървени щитове, филм или покривен материал. В същото време самите растения трябва да се формират въз основа на специални покривни схеми, които позволяват ежегодна процедура на затопляне без механични повреди на лозата и с минимални разходи за труд. В тази връзка сред местните лозари най-популярни са вариантите за многорамелен вентилатор или наклонен (наклонен) кордон.
При отглеждането на Чарли трябва да се обърне особено внимание на определянето на натоварването на леторастите и културите, както и на регулирането му по време на резитбата и по време на зелените операции по време на вегетационния сезон на гроздето. И така, през пролетта на храстите, които са влезли в пълен плод, се оставят 30-35 очи със средна дължина на оставените плодови стрели - 6-8 пъпки. След началото на растежа младите лози отчупват всички стерилни и слаби издънки, както и „двойници“, „тройници“, които са се развили от една пъпка. След това на растението трябва да останат 20-22 силни продуктивни лози, върху които трябва да се отстранят допълнителните четки за плодове, като се остави една за издънката. След това натоварването се счита за коригирано и производителят може да не се притеснява от способността на храстите да "разтягат" останалия брой гроздове до условията, присъщи на сорта. При растенията, които тепърва навлизат в плододаване, нормализацията, разбира се, е по-строга от тази, описана за възрастни храсти.
На повишаване нивото на селскостопанска технология, напояване, торене с минерални торове и микроелементи, гроздето реагира положително. Освен това, чрез регулиране на водния баланс на почвата, рискът от напукване на гроздето по време на узряването може да бъде сведен до абсолютен минимум.
Устойчивостта на Чарли към гъбични заболявания е най-добрата, благодарение на гените на резистентност, предадени му по майчината линия. За да се гарантира предотвратяването на развитието на патогени, често срещани върху гроздето, ще бъде достатъчно да се извършат две сложни превантивни пръскания в ранните етапи на вегетационния период, когато се наблюдава най-значимата вредност на патогените. Вредителите също не са особено досадни за сорта и контролът на броя им с помощта на химикали се изисква само в изключителни случаи. Защитата срещу оси също трябва да се прилага избирателно, тъй като те не винаги атакуват плодовете на даден сорт грозде. Поради ниското натоварване с пестициди, реколтата е екологична, което не е така за всички популярни сортове "слънчеви плодове".








